Zum Inhalt springen
23 Mai
von Nicole Keysers
Schlagwörter: Amani, Anwartschaft, Auenwald, Boxer, Boxer mit Papieren, Boxer Rafeld, Boxer vom kleinen Auenwald, Boxerliebe, Clarissa, Clarissa vom Schleusinger Land, goldgelber Boxer, Grafenrheinfeld, kleinen Auenwald, Landkr. Schweinfurt, Landkreis Schweinfurt, Lanee, Lanee von der Norris, nähe Würzburg, Rafeld, schwarzer Boxer, V1, V1 mit Anw.dt.Jgdch.VDH&BK
Lanee erreicht in der Jungedklasse ein V1 mit Anw.dt.Jgdch.VDH & BK! Wir freuen uns riesig.
23 Mai
von Nicole Keysers
Schlagwörter: Amani, Auenwald, Ausdauerprüfung, Ausdauerprüfung mit bravour bestanden, Boxer, Boxer mit Papieren, Boxer Rafeld, Boxer vom kleinen Auenwald, Boxerliebe, bravour, Clarissa, Clarissa vom Schleusinger Land, goldgelber Boxer, Grafenrheinfeld, kleinen Auenwald, Landkr. Schweinfurt, Landkreis Schweinfurt, Lanee, Lanee von der Norris, nähe Würzburg, Rafeld, schwarzer Boxer
Lanee bestand die Ausdauerprüfung am 15.06.2019 mit bravour. Auch hier freuen wir uns sehr über unser kleine Lanee.
23 Mai
von Nicole Keysers
Schlagwörter: Amani, AO/0, AO/0 und PS/0, Auenwald, Boxer, Boxer mit Papieren, Boxer Rafeld, Boxer vom kleinen Auenwald, Boxerliebe, Clarissa, Clarissa vom Schleusinger Land, goldgelber Boxer, Grafenrheinfeld, Herz 0, Herz 0 / frei, Herzuntersuchung, Herzuntersuchung Lanee, kleinen Auenwald, Landkr. Schweinfurt, Landkreis Schweinfurt, Lanee, Lanee von der Norris, nähe Würzburg, PS/0, Rafeld, schwarzer Boxer, von der Noris
Wir freuen uns riesig über das Ergebnis vom 09.07.2019 der Herzuntersuchung von Lanee, sie hat Herz 0 / frei !!! (AO/0 und PS/0) wir sind stolz auf unserem Wirbelwind.
23 Mai
von Nicole Keysers
Schlagwörter: A1, Amani, Auenwald, Boxer, Boxer mit Papieren, Boxer Rafeld, Boxer vom kleinen Auenwald, Boxerliebe, Clarissa, Clarissa vom Schleusinger Land, goldgelber Boxer, Grafenrheinfeld, HD A1, HD Untersuchen Lanee, HD Untersuchung, HD-Auswertung, HD-Auswertung A1, HD-Auswertung HD A1, kleinen Auenwald, Landkr. Schweinfurt, Landkreis Schweinfurt, Lanee, Lanee von der Norris, nähe Würzburg, Rafeld, schwarzer Boxer
unsere Lanee erreichte bei der HD-Auswertung vom 01.05.2019, HD A1!!! Wir freuen uns sehr.
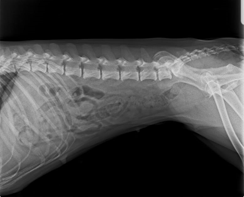
23 Mai
von Nicole Keysers
Schlagwörter: Amani, Auenwald, Auswertung der Spondylose, Boxer, Boxer mit Papieren, Boxer Rafeld, Boxer vom kleinen Auenwald, Boxerliebe, Clarissa, Clarissa vom Schleusinger Land, goldgelber Boxer, Grafenrheinfeld, kleinen Auenwald, Landkr. Schweinfurt, Landkreis Schweinfurt, Lanee, Lanee von der Norris, nähe Würzburg, Rafeld, schwarzer Boxer, Spondylose, Spondylose Untersuchung, Spondylose Untersuchung Lanee
Hier unsere Lanee bei der Auswertung der Spondylose
23 Mai
von Nicole Keysers
Schlagwörter: Amani, Auenwald, Boxer, Boxer mit Papieren, Boxer Rafeld, Boxer vom kleinen Auenwald, Boxerliebe, Clarissa, Clarissa vom Schleusinger Land, goldgelber Boxer, Grafenrheinfeld, kleinen Auenwald, Landkr. Schweinfurt, Landkreis Schweinfurt, Lanee, Lanee von der Norris, nähe Würzburg, Rafeld, schwarzer Boxer, Urkunde, Urkunde Zwingername, Urkunde Zwingername "vom kleinen Auenwald"
Endlich ist sie da, unsere Urkunde „zum kleinen Auenwald“